浦东拟建8栋办公楼及3栋公租房 靠近源深体育中心
浦东拟建8栋办公楼及3栋公租房 靠近源深体育中心,“海尚源深中心项目”规划设计方案正在浦东规土局网站上公示,...
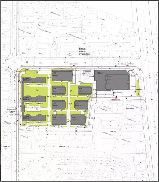
原标题:靠近源深体育中心,拟建办公楼及公租房!规划设计方案正在公示→
“海尚源深中心项目”规划设计方案正在浦东规土局网站上公示,该地块靠近源深体育中心,拟建办公楼及公租房等,快来看~
项目介绍
项目位于浦东新区梅园社区C000102单元10街坊10-01地块内,东至源深路,西至松林路,南至松林小区,北至商城路。为商务办公(C8)和四类住宅组团(Rr4)混合用地。

- 上一篇:5月份郑州市商品住宅均价每平方米8241元
- 下一篇:下一篇:郑州今年要外迁或升级31家市场,名单公布!